f
title
แขวงทางหลวงตราด
Trat Highway District
วิสัยทัศน์ : พัฒนาทางหลวงให้ปลอดภัย เชื่อมโยงโครงข่ายพื้นที่ชายแดน
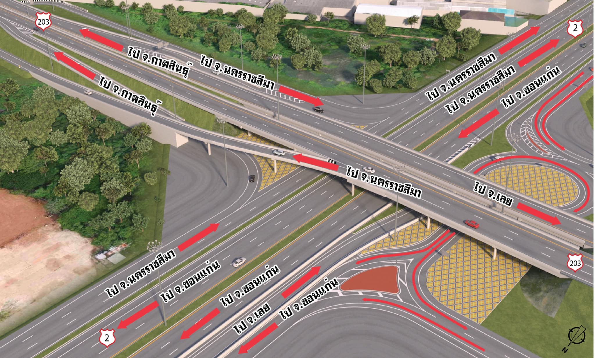
ขอนแก่นเฮ! กรมทางหลวงเริ่มสร้างทางแยกต่างระดับข้ามแยกเมืองเก่า จ.ขอนแก่น ปี 2568 รองรับปริมาณการจราจร ทล.2 และ ทล.230 และยกระดับการคมนาคมภาคตะวันออกเฉียงเหนือ
ลงวันที่ 21/08/2567

ขอนแก่นเฮ! กรมทางหลวงเริ่มสร้างทางแยกต่างระดับข้ามแยกเมืองเก่า จ.ขอนแก่น ปี 2568 รองรับปริมาณการจราจร ทล.2 และ ทล.230 และยกระดับการคมนาคมภาคตะวันออกเฉียงเหนือ
กรมทางหลวงเร่งพัฒนาโครงสร้างพื้นฐานก่อสร้างทางแยกต่างระดับจุดตัดทางหลวงหมายเลข 2 ตัดทางหลวงหมายเลข 230 (แยกเมืองเก่า) จังหวัดขอนแก่น เพิ่มประสิทธิภาพคมนาคมขนส่งและยกระดับการเดินทางภาคภาคตะวันออกเฉียงเหนือ
นายสราวุธ ทรงศิวิไล อธิบดีกรมทางหลวง เปิดเผยว่า กรมทางหลวงดำเนินการโครงการพัฒนาทางหลวงสำหรับการแก้ไขปัญหาการจราจร รองรับการเดินทางของประชาชนในพื้นที่จังหวัดขอนแก่นและใกล้เคียงให้มีความสะดวกและความปลอดภัย จึงได้ดำเนินการโครงการก่อสร้างทางแยกต่างระดับจุดตัดทางหลวงหมายเลข 2 ตัดทางหลวงหมายเลข 230 (แยกเมืองเก่า) พื้นที่จังหวัดขอนแก่น เนื่องจากทางแยกจุดตัดทางหลวงหมายเลข 2 กับทางหลวงหมายเลข 230 (ด้านใต้) เป็นทางแยกที่มีปริมาณการจราจรหนาแน่น และเกิดอุบัติเหตุบ่อยครั้ง ประกอบกับพื้นที่ดังกล่าวเป็นแนวเส้นทางที่ตั้งชุมชนหนาแน่น เดิมมีโครงสะพานข้ามแยกบนทางหลวงหมายเลข 230 ตัดข้ามทางหลวงหมายเลข 2 แต่สะพานแห่งนี้ยังไม่สามารถรองรับการจราจรได้ทุกทิศทาง ดังนั้นเพื่อแก้ไขปัญหาการจราจรอย่างยั่งยืน กรมทางหลวงจึงดำเนินการโครงการก่อสร้างทางแยกต่างระดับจุดตัดทางหลวงหมายเลข 2 ตัดทางหลวงหมายเลข 230 (แยกเมืองเก่า) จังหวัดขอนแก่น โดยสำนักสำรวจและออกแบบ ร่วมกับสำนักงานทางหลวงที่ 7 ขอนแก่น และบริษัทวิศวกรที่ปรึกษา ได้ร่วมกันดำเนินการสำรวจพื้นที่และออกแบบเส้นทาง พร้อมทั้งเปิดเวทีรับความฟังความคิดเห็นของประชาชนและผู้มีส่วนได้ส่วนเสียเพื่อรับทราบความประสงค์ในทุกมิติ ซึ่งสำนักสำรวจและออกแบบได้กำหนดเส้นทางการจราจร โดยมีรูปแบบ ดังนี้
1.ก่อสร้างทางแยกต่างระดับรูปแบบ One Directional Ramp With Overpass And Bridge Missing Link And Roundabout โดยแบ่งเป็นสะพานแนวใหม่ (Directional Ramp) บนทล.2 ทิศทางจากจังหวัดขอนแก่นไปสู่จังหวัดเลย ที่ กม.332+100 มีขนาดความกว้างขนาด 6 เมตร ยาว 362 เมตร และสะพานบริเวณทางเข้าสถานีขนส่งผู้โดยสารจังหวัดขอนแก่นแห่งที่ 3 ตามแนว ทล.230 ที่ กม.0+891.079 มีขนาดความกว้าง 14 เมตร ยาว 48 เมตร และก่อสร้างสะพานต่อขยายข้ามทล.2 ทิศทางจากจังหวัดเลยไปสู่จังหวัดนครราชสีมา บริเวณ กม.1+626 มีขนาดความกว้าง 14.50 เมตร ยาว 218 เมตร รวมทั้งสะพานต่อขยายข้ามทางรถไฟเพื่อเชื่อมการจราจรในทิศทางจากจังหวัดขอนแก่นไปจังหวัดกาฬสินธุ์ บริเวณ กม.0+318 มีขนาดความกว้าง 14.50 เมตร และความยาว 134 เมตร
2.การดำเนินการก่อสร้างบนทางหลวงหมายเลข 2 โดยมีจุดเริ่มต้นการก่อสร้างบริเวณ กม.330+013 และจุดสิ้นสุดการก่อสร้างบริเวณ กม.334+181 รวมระยะทางประมาณ 4,168 เมตร โดยทำการปรับปรุงขยายช่องจราจรที่อยู่ในแนวเส้นทางเดิม เน้นการออกแบบให้มีช่องทางหลักและช่องทางขนานเพื่อให้การจราจรมีความคล่องตัว กล่าวคือ ออกแบบให้มีช่องหลัก ขนาด 6 ช่องจราจร (3 ช่องจราจรต่อทิศทาง) ความกว้างช่องจราจรละ 3.50 เมตร แบ่งทิศทางการจราจรด้วยเกาะแบบยก (Raised Median) กว้าง 5.10 เมตร ไหล่ทางด้านนอกกว้าง 2.50 เมตร ส่วนทางคู่ขนานฝั่งละ 2 ช่องจราจร ความกว้างช่องจราจรละ 3.50 เมตร และมีทางเท้าพร้อมกับระบบสาธารณูปโภคขนาด 4.45 เมตร ทั้งสองฝั่งมีเกาะกลางระหว่างทางหลักและทางคู่ขนานแบบยก (Saparator) ความกว้าง 3.00 เมตร
3.การดำเนินการก่อสร้างบนทางหลวงหมายเลข 230 จุดเริ่มต้นก่อสร้างบริเวณ กม.0+000 หรือบริเวณ กม.1+750 ของทางหลวงหมายเลข 230 และจุดสิ้นสุดการปรับปรุงบริเวณ กม.2+848 หรือ กม.47+400 ของทางหลวงหมายเลข 230 รวมระยะทางการปรับปรุงถนนโครงการประมาณ 2,848 เมตร โดยปรับปรุงขยายช่องจราจรที่อยู่ในแนวเส้นทางเดิมให้มีช่องทางหลักและช่องทางขนาน กล่าวคือ ออกแบบให้มีช่องหลัก ขนาด 6 ช่องจราจร (3 ช่องจราจรต่อทิศทาง) ความกว้างช่องจราจรละ 3.50 เมตร แบ่งทิศทางการจราจรด้วยเกาะแบบยก (Raised Median) กว้าง 5.10 เมตร ไหล่ทางด้านนอกกว้าง 2.50 เมตร สำหรับทางคู่ขนานฝั่งละ 2 ช่องจราจร ความกว้างช่องจราจรละ 3.50 เมตร ไหล่ทางด้านในกว้าง 1.50 เมตร ไหล่ทางด้านนอกกว้าง 2.50 เมตร มีทางเท้าพร้อมกับระบบสาธารณูปโภคขนาด 3.60 เมตร รวมทั้งเกาะกลางระหว่างทางหลักและทางคู่ขนานแบบร่องน้ำกว้าง 8.50 เมตร
ปัจจุบันหน่วยงานได้ทำการศึกษาผลกระทบสิ่งแวดล้อมเบื้องต้น (IEE) แล้วเสร็จ คาดว่าจะสามารถดำเนินการก่อสร้างในปี พ.ศ.2568 ใช้เวลาก่อสร้างประมาณ 3 ปี วงเงินงบประมาณก่อสร้าง 650 ล้านบาท
เมื่อโครงการก่อสร้างแล้วเสร็จ สามารถเพิ่มประสิทธิภาพโครงข่ายคมนาคมขนส่งพื้นที่ภาคตะวันออกเฉียงเหนือ รองรับปริมาณการจราจรในอนาคต นับเป็นการอำนวยความสะดวกทางด้านการจราจรที่มีประสิทธิภาพสูงสุด โดยคำนึงถึงความปลอดภัยต่อผู้ใช้รถใช้ถนน สอดคล้องกั บแผนพัฒนาโครงข่ายทางหลวงในอนาคตรองรับการพัฒนาเศรษฐกิจ และสังคมของประเทศไทย

'